
Crédito, Getty Images
- Author, Stephen Dowling, Isabelle Gerretsen, Richard Gray, Katherine Latham e Jocelyn Timperley
- Role, BBC Future
Faz 20 anos desde que o furacão Katrina avançou pelo sudeste de Louisiana, nos Estados Unidos, matando 1.833 pessoas e provocando uma calamidade em uma escala até então inimaginável.
A tempestade atingiu o estado em 29 de agosto de 2005, deixando a maior parte das cidades debaixo d’água e a população sem energia, comida e abrigo.
“Minha cidade, Nova Orleans, caiu em completo caos”, disse à BBC naquela época a moradora Windi Sebren. “Minha vida em Nova Orleans acabou. Eu vou ter que recomeçar do zero.”
O Katrina é, sem dúvidas, um dos piores desastres que atingiram os Estados Unidos na história recente.
Confira algumas imagens desse e de outros furacões tão fortes e destrutivos no mundo.
O maior número de mortes: o furacão de 1780
Na noite de 9 de outubro de 1780, depois de um dia quente na ilha caribenha de Barbados, a chuva começou. Na manhã seguinte, uma brisa surgiu e, por volta das 18h, um furacão atingiu a ilha com força total.
Conhecido como o Grande Furacão, é o furacão atlântico mais mortal já registrado até hoje. Estima-se que o número de mortos varie entre 20 mil e 27,5 mil.
O furacão devastou a terra com ventos que ultrapassaram mais de 322 km/h, tão ensurdecedor que as pessoas não conseguiam ouvir suas próprias vozes. Restaram apenas “lama, destroços, gado morto e cadáveres em decomposição.”
Ao deixar Barbados, o Grande Furacão passou por Martinica, Santa Lúcia e Santo Eustáquio.
Ondas de até 7 metros engoliram vilarejos inteiros e frotas completas das marinhas britânica e francesa — junto com milhares de pessoas a bordo — foram puxadas para o fundo do oceano.

Crédito, Alamy
A tempestade mais mortal da história dos EUA foi o furacão de Galveston, em 1900.
Ele atravessou o Golfo do México no início de setembro de 1900, ganhou força até chegar em um furacão de categoria 4, e atingiu em cheio a cidade de Galveston, no Texas, no dia 6 de setembro.
“Eram tantos corpos que eu tive que pegar uma vara para tirá-los do caminho…foi a coisa mais horrível que eu já vi”, relatou um pescador sobrevivente.
Estima-se que ele tenha causado entre 6.000 a 8.000 mortes.

Crédito, Getty Images
O ciclone Bhola de 1970 atingiu o nordeste da Índia e o então Paquistão Oriental (atual Bangladesh).
Ele trouxe consigo uma devastadora inundação de 10,5 metros de altura. Ao todo, estima-se que 500 mil pessoas tenham morrido por causa do ciclone.

Crédito, Getty Images
Os furacões mais destrutivos: Katrina e Mitch
A forma como você mede os estragos causados por um furacão é uma questão de perspectiva.
Para aqueles que perdem bens, meios de subsistência e entes queridos, a tempestade que acabou de passar foi devastadora.
Mas, se analisarmos puramente os números, em termos de propriedades destruídas, dois furacões se destacam: Katrina e Mitch.
A principal razão que coloca o Katrina como o mais “caro” da história é a imensa escala de destruição que ele causou por onde passou no sudeste dos Estados Unidos.
Estima-se que entre 217 mil e 300 mil casas foram destruídas ou se tornaram inabitáveis por causa do furacão. Rajadas de vento de até 225km/h atingiram o sudeste da Louisiana.
A maré da tempestade alcançou entre 7,6 e 8,5 metros acima do nível normal da maré na costa de Mississipi, e entre 3 e 6,1 metros acima do nível normal na costa do sudeste da Louisiana.
Em Nova Orleans, as ondas violentas e a maré de tempestade romperam diques construídos para proteger a cidade.

Crédito, Getty Images
No total, aproximadamente 80% da cidade ficou alagada, atingida por enchentes que chegaram a 6 metros de profundidade, enquanto 59 tornados originados pela tempestade espalharam ainda mais destruição por oito estados.
Esses danos fizeram do furacão Katrina o mais caro já registrado a atingir os EUA, resultando em um total de US$ 201,3 bilhões (R$ 1,1 trilhão) em estragos, quando ajustados pela inflação de 2024.
Após o Katrina, o segundo mais caro foi o furacão Harvey, em 2017 , que causou danos avaliados em US$ 160 bilhões (R$ 867 bilhões) quando atingiu o Texas e a Louisiana.

Crédito, Noaa
Mas cerca de sete anos antes, outro furacão causou quase tanta destruição quanto o Katrina.
Nos EUA, o furacão Mitch deixou danos relativamente pequenos — 645 casas na Flórida foram destruídas pela tempestade enquanto ela atravessava o Golfo do México a partir da Península de Yucatán, no México, em outubro de 1988.
Contudo, até aquele momento já tinha causado seu pior estrago.

Crédito, Getty Images
Uma semana antes, o Mitch havia atingido Honduras, destruindo comunidades inteiras enquanto deixava um rastro de destruição pela América Central.
Essa tempestade foi como um monstro — um furacão categoria 5 que ainda está entre os mais intensos já registrados.
Quando atingiu Honduras, já havia enfraquecido para um furacão de categoria 1, mas ao tocar a terra, ficou estacionado no país, despejando enormes quantidades de chuva.
As enchentes e deslizamentos que se seguiram deixaram entre 10.000 e 19.000 pessoas mortas em Honduras, Nicarágua, Guatemala, Belize e El Salvador.
Pelo menos 200 mil casas foram demolidas ou gravemente danificadas pela tempestade. Só em Honduras, 70.000 casas e 92 pontes foram destruídas, com vilas inteiras sendo engolidas pelos rios de lama que desciam das montanhas.
Na época, a ONU estimou que, ao todo, mais de meio milhão de pessoas perderam suas casas.

Crédito, Getty Images
Maiores velocidades de vento
Algumas pessoas podem supor que as tempestades mais poderosas são aquelas que causam mais danos e mortes. Mas, nem sempre é o caso.
O furacão Patricia foi o 24⁰ da temporada de furacões de 2015 e se formou próximo ao Golfo de Tehuantepec, na costa sul do México.
Condições favoráveis fizeram com que ele passasse de tempestade tropical a furacão de categoria cinco em apenas 24 horas.
Em 23 de outubro, a maior velocidade sustentada do vento do furacão Patricia por 20 segundos foi de 356 km/h, medida a partir de uma aeronave em voo (velocidades de 338 km/h foram registradas ao nível do solo).
Foi a maior velocidade já registrada no Hemisfério Ocidental e tão intensa quando uma das mais poderosas tempestades que já se teve notícia, o tufão Nancy, de 1961.

Crédito, Getty Images
O furacão Patricia atravessou áreas relativamente pouco povoadas do México, o que limitou o número de mortes.
A tempestade também enfraqueceu drasticamente depois de atingir a costa mexicana, embora a velocidade dos ventos tenham chegado a 265km/h.
O terreno montanhoso do México contribuiu para enfraquecer ainda mais o furacão, e em 24 de outubro, ele já havia praticamente desaparecido.
Apesar de sua intensidade, o número de mortes causados pelo furacão Patricia foi surpreendentemente pequeno — apenas duas pessoas morreram atingidas diretamente pela tempestade, com mais outras quatro mortes indiretas, de acordo com a Administração Nacional Oceânica e Atmosférica dos EUA (NOOA, na sigla em inglês).
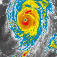
Intensificação rápida
Na última semana, o furacão Erin se tornou o primeiro furacão do Atlântico em 2025, contornando a costa continental dos EUA e levando meteorologistas a emitirem alertas para surfistas sobre correntes.
Acredita-se que seja um dos furacões que mais rapidamente se intensificou cedo na temporada. As tempestades mais fortes tendem a acontecer mais tarde no ano, após o início de setembro.
O Erin passou de um furacão de categoria 1 para categoria 5 em pouco mais de 24 horas, antes de enfraquecer novamente para um furacão de categoria 2.
A intensificação rápida é definida como um aumento dos ventos máximos sustentados de um ciclone tropical de pelo menos 30 nós em um período de 24 horas, segundo o Serviço Nacional de Meteorologia dos EUA.
Furacões que se intensificam tão rapidamente podem ser particularmente perigosos, já que as pessoas têm menos tempo para se preparar para eles.

Crédito, NASA
Erin não é a única tempestade a se intensificar rapidamente nos últimos anos.
Em 2024, o furacão Milton se tornou a tempestade mais rápida do Atlântico a passar de uma depressão tropical para um furacão de categoria 5.
No mesmo ano, o furacão Beryl quebrou um recorde ao se tornar a tempestade mais rápida do Atlântico formada em junho ou começo de julho a passar de uma depressão tropical para um furação.
Já em 2023, o furacão Lee o o furacão Jova surpreenderam os cientistas com sua intensificação repentina, especialmente considerando que isso aconteceu durante um El Niño, que normalmente suprime a atividade de furacões no Atlântico.
Claro que os furacões sempre se intensificaram em ritmos diferentes.
Outros dois furacões do Atlântico — Felix em 2007 e Wilma em 2005 — também são notáveis pela sua rápida intensificação.
Mas pesquisas mostram que, no geral, as taxas de intensificação têm aumentado significativamente nos últimos anos devido ao aquecimento global, uma tendência que deve continuar.
Tudo se deve ao aquecimento das superfícies oceânicas sobre as quais essas tempestades passam em razão das mudanças climáticas — o Erin, por exemplo, passou sobre águas que estavam, em média, 1,1⁰C mais quentes devido às mudanças climáticas.
Fonte.:BBC NEWS BRASIL


